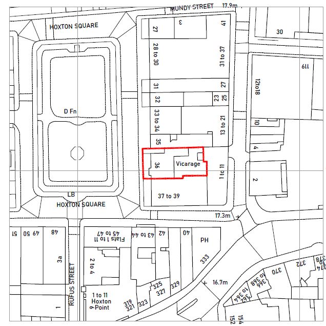
add texture to site plan of hoxton square london